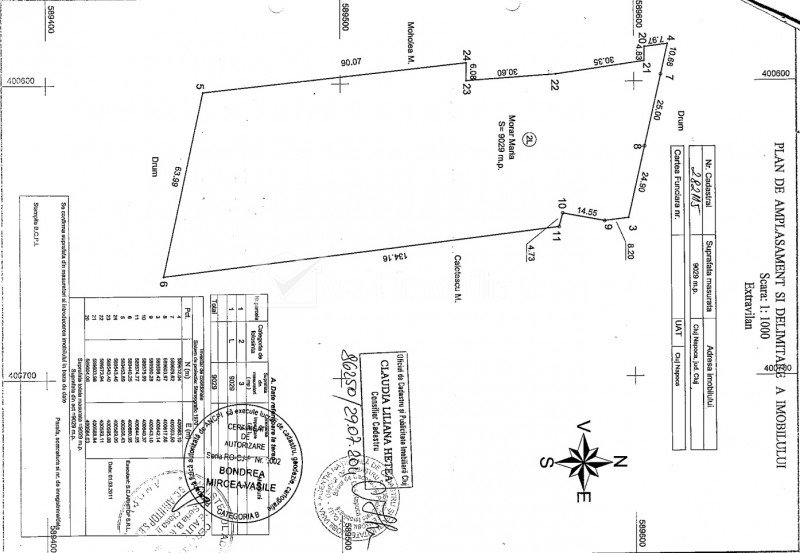
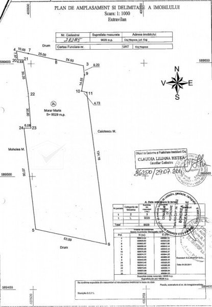
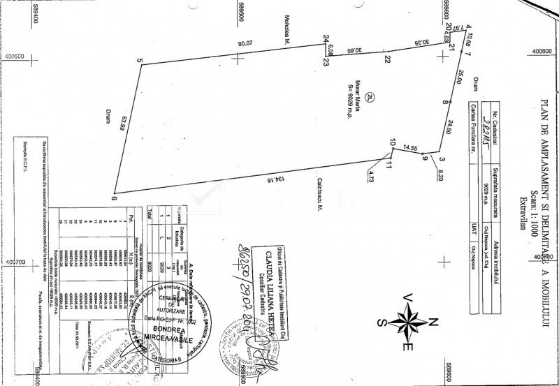
Teren 9000 mp, front sudic 63mp la centura de N a Clujului Cluj-Napoca, Someseni teren extravilan • 9000 m2 • front 64 m pret vanzare 270.000 € + 2 Vandut Caracteristici Tip imobil Teren extravilan Teren pentru constructii civile Suprafata 9000 m2 Front 64 m Nr. fronturi 2 Vecinatati si puncte de interes in zona Centura de N a clujului Amenajare strazi (Asfaltate, Pietruite, De pamant), Iluminat stradal Descrierea terenului Va ofer spre vanzare un teren (extravilan de Cluj) de 9000mp in zona centurii de N a orasului aproape de Emerson in drept cu borna de la km 2 + 900 pe sensul de mers spre Sînnicoara. Utilitatile se afla la frontul de S al teritoriului (63mp) si centura se afla la N de teren. Momentan nu se poate face accesul de pe centura doar de pe un drum adiacent paralel. Necestita PUZ, ideal pentru constructii industriale. ID Proprietate - P16687 Utilitati Utilitati in apropiere Numar vizualizari: 1842 Actualizat: 2024-01-23 14:32:50
+ 2 Vandut Caracteristici Tip imobil Teren extravilan Teren pentru constructii civile Suprafata 9000 m2 Front 64 m Nr. fronturi 2 Vecinatati si puncte de interes in zona Centura de N a clujului Amenajare strazi (Asfaltate, Pietruite, De pamant), Iluminat stradal Descrierea terenului Va ofer spre vanzare un teren (extravilan de Cluj) de 9000mp in zona centurii de N a orasului aproape de Emerson in drept cu borna de la km 2 + 900 pe sensul de mers spre Sînnicoara. Utilitatile se afla la frontul de S al teritoriului (63mp) si centura se afla la N de teren. Momentan nu se poate face accesul de pe centura doar de pe un drum adiacent paralel. Necestita PUZ, ideal pentru constructii industriale. ID Proprietate - P16687 Utilitati Utilitati in apropiere Numar vizualizari: 1842 Actualizat: 2024-01-23 14:32:50
Caracteristici Tip imobil Teren extravilan Teren pentru constructii civile Suprafata 9000 m2 Front 64 m Nr. fronturi 2 Vecinatati si puncte de interes in zona Centura de N a clujului Amenajare strazi (Asfaltate, Pietruite, De pamant), Iluminat stradal Descrierea terenului Va ofer spre vanzare un teren (extravilan de Cluj) de 9000mp in zona centurii de N a orasului aproape de Emerson in drept cu borna de la km 2 + 900 pe sensul de mers spre Sînnicoara. Utilitatile se afla la frontul de S al teritoriului (63mp) si centura se afla la N de teren. Momentan nu se poate face accesul de pe centura doar de pe un drum adiacent paralel. Necestita PUZ, ideal pentru constructii industriale. ID Proprietate - P16687 Utilitati Utilitati in apropiere Numar vizualizari: 1842 Actualizat: 2024-01-23 14:32:50