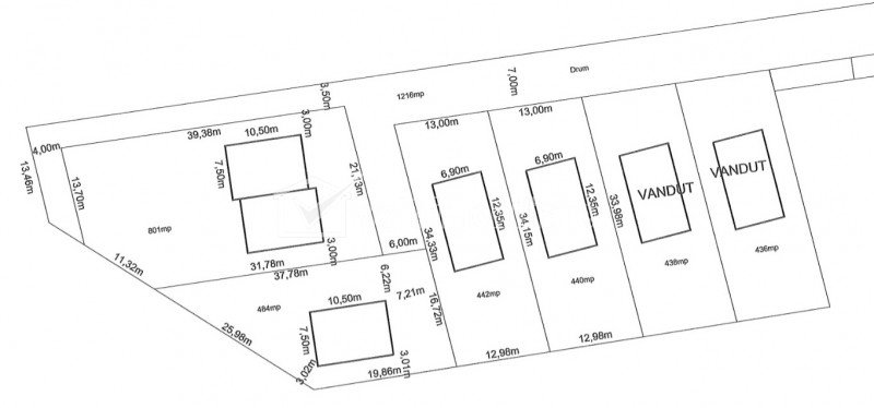
Teren pentru duplex, 801 mp, font 25 m, zona Magnoliei Cluj-Napoca teren intravilan • 801 m2 • front 25 m pret vanzare 48.060 € + 2 Vandut Caracteristici Tip imobil Teren intravilan Teren pentru constructii civile Suprafata 801 m2 Front 25 m Nr. fronturi 1 Latime drum acces 7 m Vecinatati si puncte de interes in zona Zona Tauti, Vivo Center Amenajare strazi (Pietruite, De pamant) Descrierea terenului Va oferim spre vanzare un teren intravilan situat in Floresti, zona Magnoliei. Terenul are o suprafata de 801 mp si un front de 25 mp. Este o parcela pretabila pentru constructie duplex sau casa individuala. Accesul la teren se face pe un drum de 7 m. Utilitatile sunt in zona, la aproximativ 50-70 m de teren. ID P8884 ID Proprietate - P8884 Utilitati Utilitati in apropiere, Apa, Canalizare, Gaz, Curent electric Numar vizualizari: 762 Actualizat: 2023-08-17 16:31:43
+ 2 Vandut Caracteristici Tip imobil Teren intravilan Teren pentru constructii civile Suprafata 801 m2 Front 25 m Nr. fronturi 1 Latime drum acces 7 m Vecinatati si puncte de interes in zona Zona Tauti, Vivo Center Amenajare strazi (Pietruite, De pamant) Descrierea terenului Va oferim spre vanzare un teren intravilan situat in Floresti, zona Magnoliei. Terenul are o suprafata de 801 mp si un front de 25 mp. Este o parcela pretabila pentru constructie duplex sau casa individuala. Accesul la teren se face pe un drum de 7 m. Utilitatile sunt in zona, la aproximativ 50-70 m de teren. ID P8884 ID Proprietate - P8884 Utilitati Utilitati in apropiere, Apa, Canalizare, Gaz, Curent electric Numar vizualizari: 762 Actualizat: 2023-08-17 16:31:43
Caracteristici Tip imobil Teren intravilan Teren pentru constructii civile Suprafata 801 m2 Front 25 m Nr. fronturi 1 Latime drum acces 7 m Vecinatati si puncte de interes in zona Zona Tauti, Vivo Center Amenajare strazi (Pietruite, De pamant) Descrierea terenului Va oferim spre vanzare un teren intravilan situat in Floresti, zona Magnoliei. Terenul are o suprafata de 801 mp si un front de 25 mp. Este o parcela pretabila pentru constructie duplex sau casa individuala. Accesul la teren se face pe un drum de 7 m. Utilitatile sunt in zona, la aproximativ 50-70 m de teren. ID P8884 ID Proprietate - P8884 Utilitati Utilitati in apropiere, Apa, Canalizare, Gaz, Curent electric Numar vizualizari: 762 Actualizat: 2023-08-17 16:31:43