Casa demolabila in zona Sopor/Borhanci Cluj-Napoca, Sopor 3 camere • 80 m2 • 11900 m2 teren pret vanzare negociabil 892.500 € + 6 + 3 Vandut Caracteristici Tip locuinta Casa Numar camere 3 Numar bucatarii 1 Numar bai 1 Parcare da Beci nu Gradina nu Suprafata utila 80 m2 Suprafata construita 96 m2 Suprafata teren 11900 m2 Front 37 m Etaj 1 Descrierea Casei Cu placere va ofer spre vanzare un 12 parcele de teren a cate 800mp cu potential imens de dezvoltare. Pe una dintre parcele momentan se afla o casa demolabila. Zona va fi exclusiv de vile, zona buna, utilitati in apropiere, drum pietruit. * Detinem aviz de oportunitate. *Se pot vinde parcelele separat! Merita vazut, zona accesibila! ID Proprietate - P17183 Vecinatati si puncte de interes in zona Amenajare strazi (Asfaltate, Pietruite), Iluminat stradal, Mijloace de transport in comun Numar vizualizari: 5255 Actualizat: 2019-09-17 11:38:44
+ 6 + 3 Vandut Caracteristici Tip locuinta Casa Numar camere 3 Numar bucatarii 1 Numar bai 1 Parcare da Beci nu Gradina nu Suprafata utila 80 m2 Suprafata construita 96 m2 Suprafata teren 11900 m2 Front 37 m Etaj 1 Descrierea Casei Cu placere va ofer spre vanzare un 12 parcele de teren a cate 800mp cu potential imens de dezvoltare. Pe una dintre parcele momentan se afla o casa demolabila. Zona va fi exclusiv de vile, zona buna, utilitati in apropiere, drum pietruit. * Detinem aviz de oportunitate. *Se pot vinde parcelele separat! Merita vazut, zona accesibila! ID Proprietate - P17183 Vecinatati si puncte de interes in zona Amenajare strazi (Asfaltate, Pietruite), Iluminat stradal, Mijloace de transport in comun Numar vizualizari: 5255 Actualizat: 2019-09-17 11:38:44
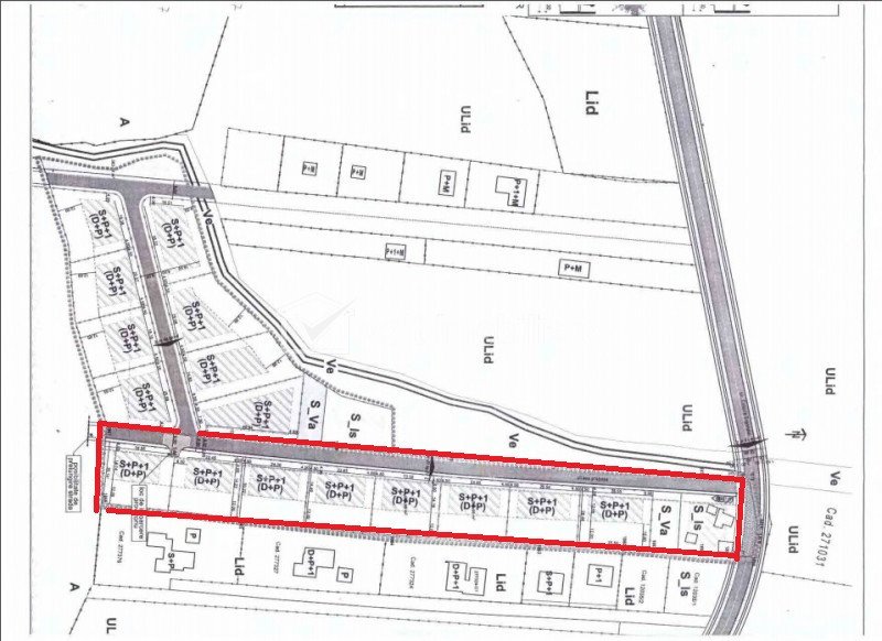
Caracteristici Tip locuinta Casa Numar camere 3 Numar bucatarii 1 Numar bai 1 Parcare da Beci nu Gradina nu Suprafata utila 80 m2 Suprafata construita 96 m2 Suprafata teren 11900 m2 Front 37 m Etaj 1 Descrierea Casei Cu placere va ofer spre vanzare un 12 parcele de teren a cate 800mp cu potential imens de dezvoltare. Pe una dintre parcele momentan se afla o casa demolabila. Zona va fi exclusiv de vile, zona buna, utilitati in apropiere, drum pietruit. * Detinem aviz de oportunitate. *Se pot vinde parcelele separat! Merita vazut, zona accesibila! ID Proprietate - P17183 Vecinatati si puncte de interes in zona Amenajare strazi (Asfaltate, Pietruite), Iluminat stradal, Mijloace de transport in comun Numar vizualizari: 5255 Actualizat: 2019-09-17 11:38:44