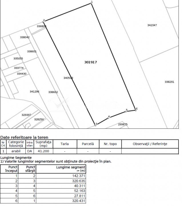
Telek eladó on Cluj-napoca, Zóna Iris Cluj-Napoca, Iris föld belsejében • 15000 m2 • utcafront 126 m eladási ár alkudható 600 000 € + 1 Jellemzők Ingatlan típusa Föld belső Termőföld Méret 15000 m2 Utcafront 126 m Utcafrontok száma 1 Közművek Közművek a közelben, Víz, Csatornázás, Gáz, Villanyáram Megtekintések száma: 2411 Frissítve: 2025-10-23 10:54:08
+ 1 Jellemzők Ingatlan típusa Föld belső Termőföld Méret 15000 m2 Utcafront 126 m Utcafrontok száma 1 Közművek Közművek a közelben, Víz, Csatornázás, Gáz, Villanyáram Megtekintések száma: 2411 Frissítve: 2025-10-23 10:54:08
Jellemzők Ingatlan típusa Föld belső Termőföld Méret 15000 m2 Utcafront 126 m Utcafrontok száma 1 Közművek Közművek a közelben, Víz, Csatornázás, Gáz, Villanyáram Megtekintések száma: 2411 Frissítve: 2025-10-23 10:54:08