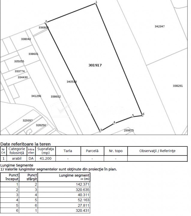
Terrain à vendre dans Cluj-napoca, zone Iris Cluj-Napoca, Iris atterrir à l'intérieur • 15000 m2 • Faïence 126 m prix de vente négociable 600 000 € + 1 Caractéristiques Type immeuble Terre à l'intérieur Infield Surface 15000 m2 No. fronts 126 m Non. fronts 1 Utilités Utilités proches, Eau, Evacuation des eaux usées, Gaz, Electricite Nombre de vues: 2489 Réactualiser: 2025-10-23 10:54:08
+ 1 Caractéristiques Type immeuble Terre à l'intérieur Infield Surface 15000 m2 No. fronts 126 m Non. fronts 1 Utilités Utilités proches, Eau, Evacuation des eaux usées, Gaz, Electricite Nombre de vues: 2489 Réactualiser: 2025-10-23 10:54:08
Caractéristiques Type immeuble Terre à l'intérieur Infield Surface 15000 m2 No. fronts 126 m Non. fronts 1 Utilités Utilités proches, Eau, Evacuation des eaux usées, Gaz, Electricite Nombre de vues: 2489 Réactualiser: 2025-10-23 10:54:08